family CERAMBYCIDAE Latreille, 1802
subfamily SPONDYLIDINAE Audinet-Serville, 1832
tribe Tetropiini Seidlitz, 1891
genus Tetropium Kirby, 1837
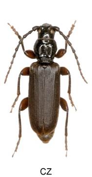
Tetropium castaneum (Linnaeus, 1758)










Velikost 9-19 mm.
Bionomie. Vývoj pod kůrou oslabených stromů, vývratů, zlomů, v pokáceném dřevě apod. Na stojících stromech se napadení obvykle soustřeďuje do dolní části kmene se silnější kůrou. Ležící dřevo, zejména umístěné v zastíněném a vlhčím prostředí, napadá bez ohledu na sílu kůry. Larva vyžírá chodby pod kůrou a před zakuklením si vyhlodá ve dřevě v hloubce obvykle 2-4 cm hluboko chodbu hákovitého tvaru, která se na konci rozšiřuje v kukelní komůrku. Zde se larva otáčí a vylíhlé imago vyleze stejnou chodbou ven a prokouše si pouze výletový otvor v kůře. Při silnější kůře si část larev udělá kukelní komůrku v kůře, méně často se kuklí mezi kůrou a dřevem. Kukelní komůrky bývají většinou 2-3 cm hluboko, někdy až 7 cm. Vývoj jednoletý, často i dvouletý. Přezimuje v larválním stadiu. - Imaga se vyskytují od V. do VIII., maximum od konce V. do poloviny VI., na horách od konce VI. do poloviny VII. Především večerní a noční druh. Přes den je ukrytý např. pod dřívím, v rovnaném dříví i na skládkách, pod šupinami kůry stojících stromů apod., ale občas pobíhá po dřevě, nebo i létá.
Živné rostliny - Vývoj jsem zjistil výhradně v Picea.
Variabilita. Imaga mají krovky obvykle černé, méně často hnědé. Vzácně bývají porostlé hustými světlými chloupky. Nohy bývají černé i červenohnědé.
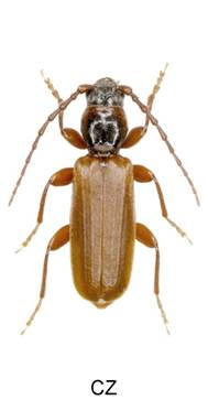
Tetropium gabrieli Weise, 1905








Velikost 8-18 mm.
Bionomie. Velmi podobná předchozímu druhu. Kukelní komůrky jsou pouze v běli a jsou uloženy méně hluboko ve dřevě a při silnější borce se v ní může i většina imag kuklit. Mají-li samičky při kladení vajíček možnost výběru, dávají přednost místům se silnější kůrou. Doba vývoje jeden rok. Část larev se však kuklí někdy později a brouci se objevují až v létě. - Výskyt imag od V. do VII., nejčastěji od konce V. do druhé dekády VI. Rovněž převážně soumračný až noční druh.
Živné rostliny - Vývoj spolehlivě zjištěn pouze v Larix
Variabilita. Krovky bývají obvykle černé, často také celé hnědé, nebo částečně začernalé. Nohy bývají černí i červenohnědé.
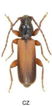
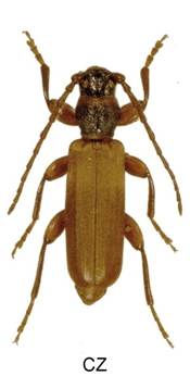
Tetropium fuscum (Fabricius, 1787)
Tetropium fuscum fuscum (Fabricius, 1787)











Tetropium fuscum lapponicum Sláma 2015



Velikost 8-18 mm.
Bionomie. Vývoj je velmi podobný jako u T. castaneum, často oba druhy žijí společně. U stojících stromů napadá spíše dolní části s hrubou kůrou. Larvy žijí pod kůrou a kuklí se převážně v hákovitých komůrkách ve dřevě. V horských podmínkách vystupuje až po stromovou hranici a dává přednost křivě rostoucím stromům, např. po deformaci sněhem apod., s hrubou silnější kůrou, ve které se pak často kuklí. V severní Evropě se vyskytuje až po hranici výskytu Picea společně s T. castaneum a T. aquilonium Plavilstshikov, 1940 (Finsko, Sláma lgt.). Vývoj jednoletý, v horách často dvouletý, na severu Evropy dvouletý. - Výskyt imag v V.-VII., maximum v VI., na horách v VII. na stojících odumírajících stromech, dříví, pařezech apod. Převážně soumračný až noční druh.
Živné rostliny - Zjistil jsem vývoj výhradně v Picea; udává se též Abies, Pinus i Larix.
Variabilita. Krovky v prvé třetině jsou nejčastěji světle zbarvené se světlým chloupkováním. Vzácně jsou krovky celé jednobarevně hnědé. Zcela výjimečně mají nohy červenohnědou barvu, někdy částečně i štít.
Tetropium aquilonium Plavilstshikov, 1940

Ve Finsku jsem zjistil vývoj v Picea.
Tetropium castaneum (Linnaeus, 1758) CZ Picea







Tetropium gabrieli Weise, 1905 CZ Larix






